úvod Vodní Dlouhá spodní Dlouhá horní Bartošova náměstí Míru I. náměstí Míru II. Rašínova radnice Soudní Zarámí
Dříve se této ulici říkalo, ještě za mojí babičky, Oltéře.
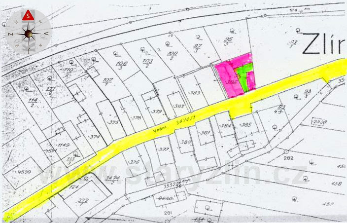
Jak je vidět ze situací, Vodní ulice se dělila na dvě části. Východní část, která ústila na ulicí Dlouhou, byla vlastně pokračováním ulice Dlouhé. To dokazují evidenční čísla domů. Zřejmě to vyplývá z předpokladu, že úředníci kteří prováděli evidenci domů postupovali tak, že čísla domů většinou následovala za sebou. Porovnáme-li ev.č. domů na západní straně Dlouhé ulice a ev.č. Vodní vidíme, že je zde jejich posloupnost. Situace dokazuje, že vlastně východní část Vodní ulice je pokračováním ulice Dlouhé. Západní část Vodní ulice začínala v ulici Zarámí vedle dolního mlýna. Z evidečních čísel domů vyplývá, že tyto domy byly většinou zaevidovány jako jedny z posledních. Ulice dále pokračovala východním směrem podél mlýnského náhonu, kde končila u posledního domku. Pak pokračovala jen pěšina. Přes náhon vedla trámová lávka, která spojovala východní část Vodní ulice s ulicí Dlouhou. Vodní ulice byla vlastně z obou stran slepou ulicí, teprve později město propojilo obě tyto dvě části vozovkou a tak vznikla úplná průjezdná Vodní ulice.
Západní část Vodní ulice se na dolním konci v blízkosti řeky Dřevnice obloukem napojila na ulici Zarámí v místě, kde končila Langrova koželužna a stával domek ševce Majce, který již měl ev.č. ulice Zarámí 85 a kde vedle stával "Dolní mlýn". K tomu vedl vodní náhon, který byl zrušen při stavbě podjezdu na Dlouhé ulici. Obytná západní část Vodní ulice byla ohraničena dvěma studnami na pitnou vodu. Zde si obyvatelé Vodní ulice čerpali vodu do nádob. Kanalizace byla jen deštivá - uliční. V domech byly jen suché záchody.
V přední části od ulice Dlouhé byla zastavěna jen severní strana. Na rohu stával nájemný dům, ve kterém bývala prodejna Osolsobě na nábytek. Domu se říkalo U Habrmanů. Vedle měla prodejna skladiště nábytku. Na to navazoval malý domek, ve kterém bydleli Evjákovi a Grossovi. Pak byla volná parcela. Zde dříve stával dům ev.č. 106. Na ten navazoval dům ev.č. 105 rodiny Mezírkovy. Ten v roce 1932 zbourali a postavili tam činžovní dům. Po jeho dostavění postavili ještě druhý činžovní dům ev.č. 985. Mezi touto východní a západní částí byly nezastavěné parcely, na kterých bylo zčásti Grimovo zahradnictví.
V obytné západní části Vodní ulice byly postaveny domy, ve kterých bydleli v roce 1936 - severní strana : Sokolovi, Vitáskovi, Bébarovi, Hozovi, Kleinovi, Malotovi, Třeslínovi a poslední dům byl již nový patrový pani Tlustákové. Z jižní strany bydleli Klepalovi, Zedník Karel, Zedník Antonín, Stašovi, Vojtáškovi a Tlustákovi. Za domem Tlustákového domu byla Malinkova kovárna. Dalším pokračováním byla jen vila a Langrova továrna, ve které měla obec prostory pro vozidla na čištění ulic města.
Situace ukazuje, že je zde již zakreslena železniční trať Otrokovice-Zlín-Vizovice.
Tato byla postavena v období roku 1898-1899. V roce 1899 byla postavena též budova nádraží a v roce 1900 byla probourána ulice Nádražní přes Trávníky. Též obě části ulice Vodní byly propojeny s ulicemi Zarámí a Dlouhou. Náhon na Dolní mlýn byl funkční a voda v něm byla až do stavby podjezdu na Dlouhé ulici v roce 1936. Řeka Dřevnice však ještě nebyla zregulována. To se stalo po povodni v roce 1919. Kolaudace byla provedena v roce 1925. Lze tedy uvažovat, že uvedená situace zachycuje stav zástavby Zlína v období 1900-1920.
Další podrobnosti o domech a jejich obyvatelích jsou pojednány samostatně :
V roce 1820 zde bydlel Antonín Horák.
Na tomto pozemku měl Karel Malinka kovárnu. Za domem paní Tlustákové čp. 376 měl postavenou kovárnu Karel Malinka. Bydlel však na Zarámí č. 470. Kovárna byla již moderně vybavená. S manželkou Ludmilou rozenou Fabiánovou ∗8.11.1893 měli 3 děti: Jaroslava ∗3.4.1919, Ludmilu ∗3.11.1922, Karla ∗7.5.1925. Oba synové pracovali v otcově kovárně. Otec Karla Malinky ∗3.12.1890 se jmenoval Václav a matka Josefa, byla rozená Gajdůškova.
V roce 1820 zde bydlel Josef Langr.
V tu dobu tam začínal Martin Langr budovat v dřevěných boudách koželužnu. Jeho syn Leopold Langr byl vážený zlínský občan a radní. V roce 1912 zemřel a jeho živnost převzala jeho dcera Marie. Ta v roce 1914 na původní parcela 322/1 postavila přízemní dům s čp. 339.
V roce 1917 se začala stavět nová patrová budova koželužny vedle obytného domu čp. 339. O rok později postavili naproti železniční trati velké stáje pro koně a dobytek, a v roce 1923 byl postaven dřevěný objekt na tříslo. Byly též plány na postavení obytného domu na náměstí, ale k tomu již nedošlo. Velké zadlužení a likvidace podniku vedla k převzetí budov do právy zlínské radnice. Budova pak složila pro garáže vozidel na čistění a kropení ulic města. Několik roků také sloužila jako kanceláře. V roce 1980 byly budovy zbourány pro výstavbu Průmyslových staveb.

V roce 1820 zde bydlel Lorenc Fimbing.
Později v tomto domě bydlely sestry Tlustákovi. V domovních knihách se mi potvrdilo, že tento dům na parcele č. 376 má ev. č. 340. Stará paní Tlustáková měla dvě dcery. Jedna, říkalo se ji „Američanka“, postavila vedle Třeslínů na parcela č. 1149 nájemný jednoposchoďový dům. Měl již nové číslo popisné 1564.
Dům byl postaven v roce 1788. V roce 1820 zde bydlel Jan Šmigura.
V roce 1860 se zde pravděpodobně narodil Josef Vojtášek, obecní strážník. S manželkou Františkou Mezirkovou ∗1880 měl dvě dcery, Josefu a Marii, třetí byl syn Jan. Tento Jan zřejmě zůstal bydlet na Vodní ulici.
V roce 1820 zde bydlel Cyril Klátil.
V roce 1819 se mu narodil syn Jan, který když se oženil se přestěhoval do domu čp. 345 ve stejné ulici Vodní. Pak se zde nastěhovala rodina Stašova. Jan Staša se zde narodil v roce 1852. S jeho manželkou Annou Macákovou nar. v roce 1851 měl čtyři děti – Antonína, Marii, Josefu a Jana. Anna byla vypravěčkou ve „Starozlínských pověstech“. Antonín se oženil s Marií Krausovou a odstěhoval se na Náměstí do domu čp. 171. V domě zůstaly bydlet obě sestry. Jan se oženil a odstěhoval se na Smetanovu ulici.
V roce 1820 zde bydlel Antonín Janečka.
Po Antonínu Janečkovi zde bydlel Zedník Josef, dýmkař. Manželka, vdova rozená Antonie Minaříková ∗1851. Měli spolu čtyři děti, Antonína, Karla, Marii a Annu. Antonín se narodil ∗1879 a byl též po otci výrobce dýmek. Měl dřevěný skládací krámek, který vozil na trakači do trhu a prodával fajfky.
Antonín měl za manželku Františku Olšákovou. Měl s ní čtyři děti. Marii, Františka, Annu a Antonína. Po úmrtí rodičů zůstal bydlet v domku Antonín a to až do zbourání. K domu patřila též zahrádka za Vitáskovíma. Přístup byl samostatnou uličkou mezi domky Vitásků a Bebarů.
Karel, ten bydlel vedle na č. 344. Anna se provdala za Vitáska Jana a bydlela na Vodní č. 368. Marie se provdala za Turečka.
Z archivních údajů se uvádí, že v tomto domě v roce 1820 bydlel Karel Zedník.
Karel Zedník již nepracoval, byl asi již v důchodu. Manželka se za svobodna jmenovala Kesterová a já si ji pamatuji jako pomocnici kostelníka v kostele sv. Filipa a Jakuba. Vybírala finanční dary od věřících při mši do košíku, ve kterém ji hořela svíčka. Říkalo se ji svíčková bába. V domku na Vodní neměli zavedenou elektřinu a svítili pouze svíčkami. Město, aby mohlo prohlásit, že je plně elektrifikováno jim zavedlo na své náklady el. přípojku. Ale rozvody v domě neměli. Chovali kozy, bylo jich asi 5 a též od nich prodávali kozí mléko. Měli též zahradu vedle nás v uličce, kde ty kozy pásali. Neměli děti. Karel byl synem Josefa Zedníka, který bydlel v domě č. 343 vedle.
Dům ve kterém se narodil autor těchto textů a fotografií Jaroslav Klepal.
Původní rodinný dům ve kterém jsem se narodil. Dům je již po rekonstrukci, kterou otec provedl, než se s moji maminkou v roce 1928 oženil. Jak jsem zjistil z archivních údajů, tak domy s číselným označením 300 až 370 byly postaveny v roce 1775 až 1820. Kolem roku 1820 zde na Vodní ulici bydlela v domě č. 342 rodina Cyrila Klátila. Jeho syn Jan Klátil ∗1819, otec mého dědy Štěpána, se oženil s Annou Januškovou ∗1823 v domě č. 115 na Dlouhé ulici. Zřejmě se po svatbě přestěhoval do domu č. 345, kde se narodil můj děda Štěpán se svými sourozenci.
V roce 1820 zde bydlel Cyril Klátil.
Jedná se o nový rodinný dům, který postavil můj otec Josef Klepal v roce 1936 na starém původním místě, kde stával rodinný dům rodiny Klátilů. Otec ho na jaře 1936 zbořil a na podzim jsme se již do něj stěhovali. Stavební čára byla posunuta zpět a výměnou za to byla náhrada průjezdu do garáže na dvoře. K domu patřil i pozemek za domem Sokolových. Chodilo se tam uličkou vedle domu Vitásků.
V roce 1820 zde bydlela Barbora Mezirková, později Hozovi.
Mikoláš Hoza ∗7.12.1866 měl za 1. manželku Annu roz. Bednářovou Když mu manželka umřela, oženil se podruhé. Mikuláš Hoza ∗7.12.1866 ve Zlíně pak měl za manželku Marii Štětkařovou ∗14.3.1880 v Březnici. Byla to 2. manželka. Otec František Štětkař koupil dceři Marii dům na Vodní ulici za 200 zlatých. Svatba byla v roce 1910. Měli spolu 6 dětí: syn Bohumil ∗1911, dcera Marie ∗1913, syn Vladislav ∗1914, syn Jaroslav ∗1917, dcera Jarmila ∗1919, dcera Vítězslava ∗1923. Dcera Jarmila se vdala za Oldřicha Novotného. Dcera Vítězslava se provdala za Jelečku v r. 1945 a měla syna Miloslava a dceru Janu.
Je třeba se zmínit, že otec bývalého rektora Ignáce Hozy je bratranec Mikuláše Hozy.
V roce 1820 zde bydlel Ignác Hechler.
V přední části domu do ulice bydleli Kleinovi a ve spodní části Linkenheldovi.
Pan Klein mluvil špatně česky. Pocházel z Teplic a byl obchodník. Na domě měl ceduli, že prodává koks a uhlí. Pan Josef Linkenheld byl též obchodník. Rozvážel zboží do obchodů. Na dvoře měl konírnu a koně.
Josef Linkenheld, kupec ve Zlíně, byl synem Františka Linkenhelda obchodníka ve Zlíně a jeho manželky Josefy, dcery Tomáše Tlustáka měšťana ve Zlíně. Josef Linkenheld ∗29.1.1870 zemřel v roce 1953 ve Zlíně. Manželka - Marie rozená Juřičková byla nejstarší dcerou mlynáře Vincenta Juřička, majitele "Dolního mlýna" na Zarámí č. 84, a jeho manželky Žofie, dcery Jana Hradila, lékaře v Kokorách. Narodila se ∗5.11.1880 - †1936 ve Zlíně. Manželé Linkenheldovi měli 2 děti: Ottu ∗10.8.1910, Olgu ∗11.3.1926 - provdaná za Turkovou.
Dům na Vodní ulici č. 347 byl majetkem manželů Kleinových. Linkenheldovi se na Vodní ulici č. 347 přistěhovali asi v roce 1916. Manželky josefa Kleina a Josefa Linkenhelda byly dcery mlynáře Juříčka.
V roce 1820 zde bydlel Vincenc Cambal.
Později v tomto domě bydleli Malotovi, měli syna a dceru. Syn Bohuslav Malota ∗4.8.1900 měl s manželkou Ludmilou Vojíkovou ∗12.3.1900 3 děti: Bohuslava ∗30.7.1920, Otakara ∗9.8.1924, Ludmilu ∗8.7.1929. Dcera byla provdána za Tomáška. Malotovi bydleli v zadní části a Tomáškovi v přední, uliční části domu. S Tomáškovýma bydlela stará pani Malotová.
V roce 1820 zde bydlela Anna Vojtášková – vdova.
Později v tomto domě bydleli Třeslínovi. Dědeček Třeslín Antonín ∗6.7.1896 ve Starém Městě pracoval v cukrovaru a přestěhoval se do Zlína na Panský dvůr, kde byl správcem. Pak přešel k fy Baťa, kde pracoval jako vedoucí skladu. Z Panského dvora se přestěhoval na Vodní ulici. Babička Antonie ∗13.6.1896 také ve Starém Městě byla rozená Šajcová založila v domě na Vodní ulici vyvařovnu jídla, která sloužila až do roku 1948.
Měli spolu 4 děti: Josefa ∗1920 (asi), Jarmilu ∗18.9.1922 - †5.10.2004, Ludmilu ∗1924, Miroslava - ten zemřel ve 4 letech.
V tomto domě bydleli Sokolovi.
Sokolovi se do tohoto domu nastěhoval v roce 1932. V dobu tam již bydleli jeho rodiče a jeho bratr Gustav, který se odstěhoval. Dům byl obecní. Pan Sokol byl četníkem a byl v invalidním důchodu. Starý pan Sokol přišel z Třebíče, byl ševcem a byl zaměstnaný u Baťů. Rodiče Sokol Josef a jeho žena Františka, syn Sokol Bohomír ∗1898 manželka Klára ∗1901, děti: Terezie ∗1926, Anna ∗1927.
Sokolovi zde bydleli do roku 1948 a pak se odstěhovali se na Lešetín. Do přístavby ve dvoře se v roce 1941 nastěhoval Augustin Kaňok s rodinou. Jak se Sokolovi odstěhovali, tak se do bytu do ulice nastěhovali Kaňokovi a bydleli zde do roku 1950. Do přístavby se po Kaňokových nastěhovali Špačkovi. V domě, který patřil obci se vystřídaly další rodiny než se dům zboural a to Šimčíkovi, Liškutin, Březovjak, Jelínek, Kovář a Hanusík.
V tomto domě bydleli Vitáskovi.
V tomto domě se 16.4 1876 narodil Jan Vitásek. Byl hlídačem. Manželka Anna, rozená Zedníkova ∗11.12 1885, byla dcerou Josefa Zedníka, dýmkaře z Vodní ulice č. 343. Po Janu Vitáskovi zde bydlel jeho syn Eduard Vitásek ∗6.8. 1907 s manželkou Antonii ∗31.10.1913. Měli spolu 2 děti - Jana a Danu. Antonie Vitásková byla rozena Hradilková. Měla ještě 2 sestry, jedna byla provdaná za Koňárka a druhá za Jindru.
V tomto domě bydleli Bébarovi.
Matouš Bébar ∗7.2.1872 - †27.2.1944. Jeho žena se jmenovala Antonie. Měl 4 syny: Jaromíra ∗12.4. 1900, Bernarda ∗20.5. 1902, Vlastimila ∗ 6.1. 1908, Bohumila ∗26.8. 1910. Pamatuji si, že pan Bebar chodil v kostkovaném kabátě jako řezník. Nevím, zda jim byl. Jeden čas měli také velkého psa :-) .
Jedná se o domy č. 105 , č. 106 a č. 107.
Přiložená situace ukazuje kde a v jakém místě se tyto domy nacházely. Poslední dům má č. 105, prostřední má č. 106 a ten krajní má č. 107. V domě bydleli: čp. 105 Šmigurovi, čp. 106 Januškovi, čp. 107 Evjákovi a Grossovi.
Dřívější záznamy uvádějí, že zde bydleli v roce : 1656 – vdova Urbanová, 1656- Bartoň Maška, 1749-75 – Martin Šmigrus, 1786 – Josef Šmigrus, 1820 – Jan Šmigrus.
Dům č. 105 obýván od roku 1932 rodinou Mazírkovou. Byl potom zbourána a na jeho místě prostaven nový nájemní dům se stejným číslem. V tu dobu byl zbourán i vedlejší dům č. 106. Po postavení prvního nájemného domu postavili manželé Mezírkovi i druhý nájemný dům, který dostal již nové číslo 985. Dnes byl přejmenován na č. 2985.
Dřívější záznamy uvádějí, že v tomto domě bydleli: 1788 – Antonín Januška, 1820 – Josef Januška.
Zde se 3.9.1845 narodila Mariána Janušková, dcera Josefa Janušky. Tato Mariána se vdala za Tomáše Marka. Markovým se narodilo šest dcera. Františka ∗ 28.9.1873 v domě č. 334 , ostatní dcery se již narodily v domě č. 106, kde se Markovy přestěhovali - Filoména ∗4.3.1878, Marie ∗29.1.1880, Anna ∗8.10.1882, Josefa ∗17.3.1887, Barbora ∗3.12.1892.
V roce 1932 zemřela Mariána Marková a dům byl zbourán při stavbě domů manželů Mazírkových.
Záznamy uvádějí, že v tomto domě dříve bydleli roku: 1656 – Jan Zedník, 1670 – Jan Zborník, 1749 – 1767 – Karel Kašpárek, 1775 – 1788 – Matouš Baťa, 1820 – Jakub Baťa.
V období 1936 – 1940 tam bydleli Evjákovi a Gossovi. Později byl též zbourán a na místě domu č. 106 a č. 107 byla postavena provoní budova plynárny.
V roce 1820 zde bydlel Jan Kovařík.
Jan Kovařík bydlel, jak je v záznamech uvedeno, ve starém typickém zlínském domku s velkou zahradou až k mlýnskému náhonu. Víme jen, že měl dceru Františku, která se provdala za Aloise Habrmana ∗6.12.1852. Měli spolu 3 děti : Rudolfa, Olgu a Marii. Marie ∗10.8.1900 se provdala za Otu Nového ze Želechovic, Olga se provdala za Vančuříka. O Rudolfu nejsou informace.
Alois Habrman rozdělil pozemek, na kterém stál původní dům Jana Kovaříka, na 2 parcely a tak podělil obě dcery. Dcera Marie dostala parcelu č. 393/1 a Olga parcelu č. 393/2.
V roce 1820 zde bydlel Jan Kovařík.
Dům na parcele 393/1 postavený asi ve stejnou dobu jak dům č. 108 dostal čp. 454. I když v něm bydleli Noví, říkalo se mu Habrmanů. Syn Marie Nové pak dům rekonstruoval do dnešní podoby.
V roce 1820 zde bydlel Jan Kovařík (shoduje se to s předchozím číslem )
Parcelu č. 393/2 se čp. 108 dostala dcera Olga Habrmanová včetně postaveného nového patrového domu. V přízemí byl obchod s nábytkem firmy „Osolsobě“. Vedlejší dům,též patrový, měl v přízemí sklad nábytku vedlejší prodejny. Později tam byla autoškola.
Toto je již novější pohled - proluka mezi domy Mezirků a domy na konci ulice Vodní a Dlouhé je zastavěna.
Dům postavila plynárna pro svůj provoz. Tato severní část ulice Vodní je zajimavá tím, že je vlastně pokračováním ulice Dlouhé. Přiložená situace ukazuje tuto návaznost.
Na situaci je vidět, že na domy na Dlouhé ulici s č. 103 a č. 104 navazují čísla domů na Vodní ulici č. 105, č. 106, č. 107 a č. 108 které je již zase na Dlouhé ulici. Lze se domnívat, že domy na Dloué ulici a část domů na Vodní ulici byla postavena ve stejnou dobu.
Snímek je pořízen v době bourání Dlouhé ulice.
Při pohledu na dolní situaci lze rozpoznat původní část domků a novou výstavbou kterou postihla Vodní a Dlouhá ulice.
Snímek ukazuje vyústění Vodní ulice do Dlouhé ulice.
Vlevo je dům č. 104 a naproti je dům č. 108, oba dva na Dlouhé ulici. V domě č. 108 byla před válkou firma OSOLSOBĚ která prodávala nábytek. Po válce tam sídlila autoškola. Křižovatka sousedila s podjezdem ve směru Cigánov.
Snímek ukazuje pohled na Mezírkovy domy čp. 105 a čp. 985 (nyní 2985).
Vodní ulice je v místě zatáčky přehrazena třemi kamennými sloupky, aby zde nemohla jezdit auta. V této zatáčce býval mostek přes vodní náhon na dolní mlýn, který byl postaven v místě na konci ulice Vodní a ulice Zarámí. Na snímku je též vidět obecní studna pro obyvatele Vodní ulice. V zadu za Mezirkovými domy je vidět nová budova plynárny čp. 107.
Situační plánek ukazuje zástavbu této části Vodní ulice.
Oba domy Mezirků byly postaveny asi v roce 1932 až 1936. Dům plynárny byl postaven v letech 60 tých. Z původních domů zanikl dům č. 106.
Na severní straně ulice Vodní mezi domy Mezirků a obecním domem, ve kterém bydleli Sokolovi, bylo Grimovo zahradnictví.
Pan Grim bydlel u Mezirků. Situace ukazuje budovy a skleníky.
Ing. Jaroslav Klepal, in memoriam
úvod Vodní Dlouhá spodní Dlouhá horní Bartošova náměstí Míru I. náměstí Míru II. Rašínova radnice Soudní Zarámí
© Starý Zlín 2007-2025
tvorba www, firemní a svatební videa
SKILL production
Jsou tyto stránky responsivní?
Veškerý obrazový materiál na www.staryzlin.cz je opatřen ochranným vodoznakem, obsah těchto webových stránek je chráněn vlastním autorským právem nebo autorským právem jiných stran. Kopírování, rozšiřování, pronájem, vytěžování nebo jakékoli zužitkování obsahu je bez souhlasu autorů zakázáno, neoprávněné užití jakéhokoli obsahu je postižitelné v občanskoprávním i trestním řízení.